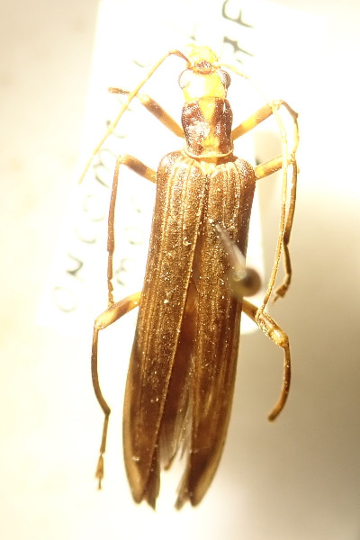
Observation n° 393993 Oedemera femoralis femoralis

Informations

Donnée considérée certaine, très probable

Source de la donnée : Terrain
Type de donnée : Publique

Date : 16/08/1984

Date de saisie : 17/09/2024

Localisation

Genillé (37)

Observateur(s) (ETL)

avatar Bernard LEMESLE

Détail de l'observation

Naturalité : Sauvage
- Imago ( 1 )
Etat biologique : Observé vivant
Contact : Vu
Prospection : Lampe UV
Statut biologique : Reproduction
Comportement : Déplacement
Déterminateur : Bernard LEMESLE
Conservé en collection de référence.
Type détermination : bino.
Remarque : au UV en pleine forêt près de troncs abattus?

UUID SINP : d436b434-3e17-477e-b211-9cca0d18af57

Photo(s)

Commentaire(s)

avatar
Par Sébastien DAMOISEAU, 17/09/2024 - 12:58

Bonjour Bernard, merci de saisir les données au rang spécifique afin de ne pas multiplier inutilement les taxons (sauf si tu expliques : 1) la définition d'une sous-espèce ; 2) les critères permettant de séparer les sous-espèces d'O. femoralis)

avatar
Par Bernard LEMESLE, 18/09/2024 - 11:22

ok


Facebook Linkedin email