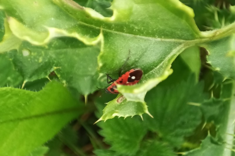
Observation n° 370301 Melanocoryphus albomaculatus

Informations

Donnée considérée certaine, très probable

Source de la donnée : Terrain
Type de donnée : Publique

Date : 18/06/2024

Date de saisie : 24/06/2024
Modifiée le 25/06/2024

Localisation

Saint-Laurent-de-Lin (37)

Observateur(s) (SEPANT)

avatar Amaury DENEUX

Détail de l'observation

Naturalité : Sauvage
- Imago (Espèce présente)
Etat biologique : Observé vivant
Contact : Vu
Prospection : Fauchage
Statut biologique : Inconnu
Comportement : Non renseigné
Déterminateur : Amaury DENEUX

UUID SINP : b41bc771-da63-4d1a-81d8-d5ff64317672

Photo(s)


Facebook Linkedin email