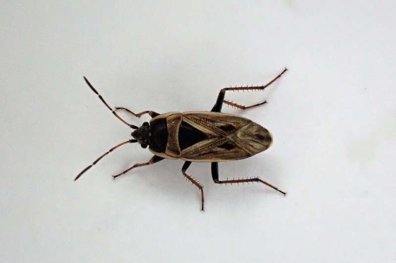
Observation n° 276628 Xanthochilus quadratus

Informations

Donnée considérée certaine, très probable

Source de la donnée : Terrain
Type de donnée : Publique

Date : 11/12/2022

Date de saisie : 11/12/2022

Localisation

Chambray-lès-Tours (37)

Observateur(s) (SEPANT)

avatar Patrick DERRIEN

Détail de l'observation

Naturalité : Sauvage
- Imago (Espèce présente)
Etat biologique : Observé vivant
Contact : Vu
Prospection : A vue
Statut biologique : Inconnu
Comportement : Non renseigné
Déterminateur : Patrick DERRIEN

UUID SINP : 1142adab-995c-4f1b-9d52-f595f6169fc0

Photo(s)


Facebook Linkedin email