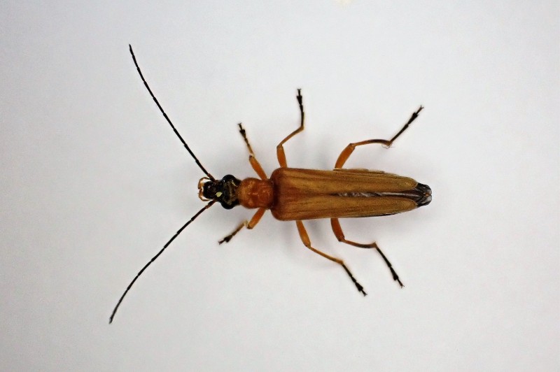
Observation n° 235422 Oedemera podagrariae

Informations

Donnée considérée certaine, très probable

Source de la donnée : Terrain
Type de donnée : Publique

Date : 31/05/2022

Date de saisie : 31/05/2022

Localisation

Joué-lès-Tours (37)

Observateur(s) (SEPANT)

avatar Patrick DERRIEN

Détail de l'observation

Naturalité : Sauvage
- Imago (Espèce présente)
Etat biologique : Observé vivant
Contact : Vu
Prospection : Non renseigné
Statut biologique : Non renseigné
Comportement : Non renseigné
Déterminateur : Patrick DERRIEN

UUID SINP : 32cab7a1-2da4-40a3-b15f-e2cf1b9fcd64

Photo(s)


Facebook Linkedin email